宁波恒威地产竞得慈崇寿I201903#地块
发布:2020-02-08慈溪房产网编辑:龚烨
2020年2月6日上午10点04分,慈崇寿I201903#地块正式开拍。经过50轮竞拍,最终宁波恒威地产控股有限公司以以成交总价10581万元,溢价率96.6%,楼面价1455元/㎡成功拿下。
竞得单位
恒威集团是由1995年创办的一家小型机械加工制造企业快速发展为今日的集工业制造(数控装备、汽车装备和塑机装备)、地产开发、国际贸易、教育投资和资本运营等多领域产业化的大型民营企业集团。
恒威地产相继开发了“东方湾邸”、“君园和庄”、“一品君园”、“恒威大厦”、“君澜上府”、“君和院”、“君澜府”、“君雅苑”等现代高端化品牌楼宇。并在商业地产领域实现新拓展,于2012年相继启动了江北洪塘·恒一广场和海曙段塘·恒一广场项目,并规划今后3-5年内陆续在宁波及周边地区打造若干个同等规模的社区商业综合体。
地块介绍
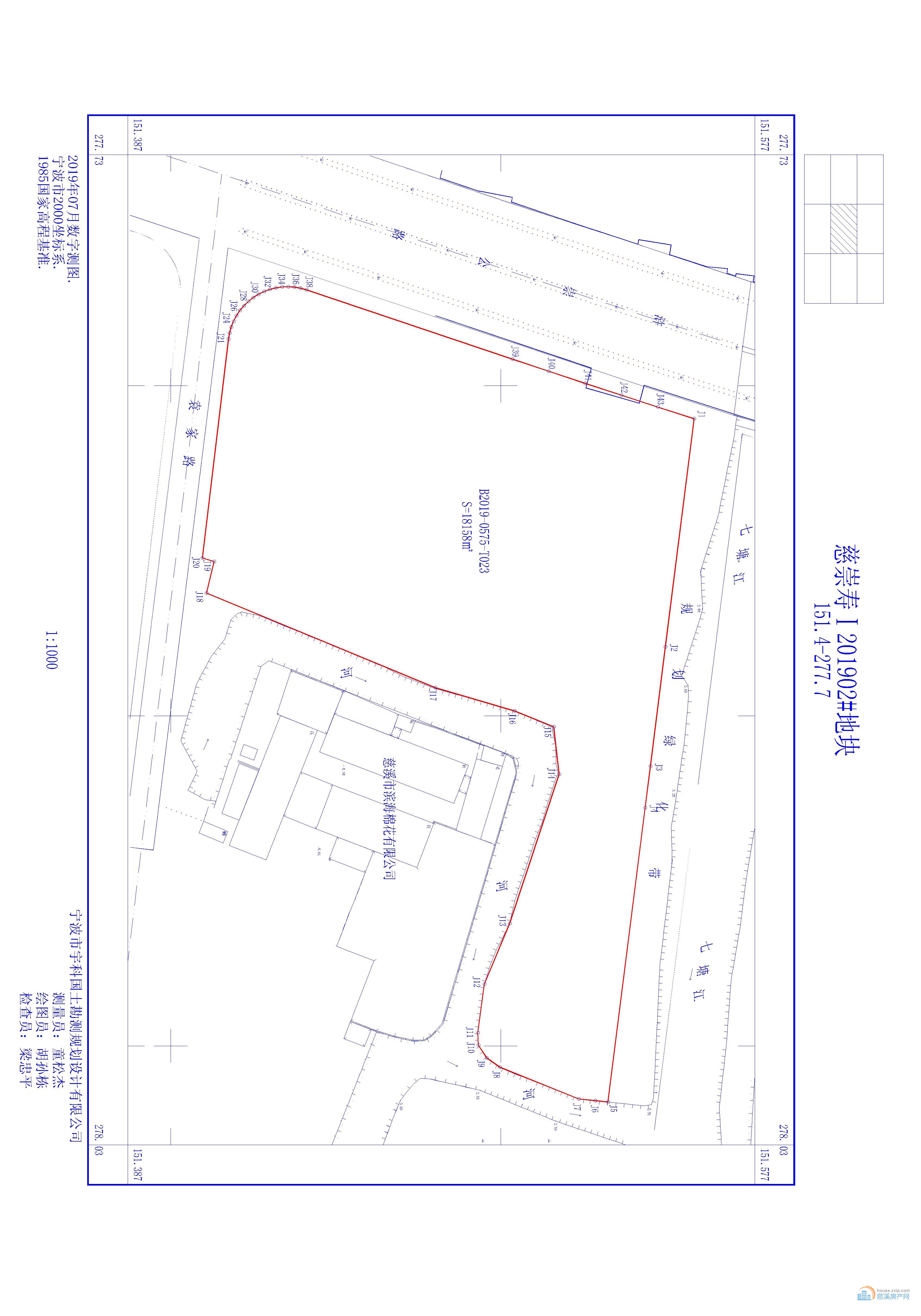
本案地块位于崇寿镇,东至慈溪市滨海棉花有限公司、南至规划袁家路、西至浒崇公路、北至规划七塘江绿化带。
地块出让面积18158㎡(折合约27.237亩),1.0<容积率≤1.8,绿地率30%,建筑密度30%,规划性质是城镇住宅用地(普通商品房)。
(地块宗地图)
(区位图)
(区位图)
按规划条件显示:
地块混合用地性质为商住用地(BR),混合比例为商业计容面积大于15%。
机动车主要出入口:南侧道路为主
人行出入口:南侧道路为主
规划袁家路
崇寿镇中心小学
崇寿初级中学
地块周边生活气息浓厚,超市菜场等便民设施均有分布,完全可以满足日常生活需求,地块将来自带的商业也能够更加方便业主住户。
本案地块东侧和西侧分别设有慈溪互通和庵东枢纽,西侧的浒崇公路更是可以通往慈溪市中心,交通便捷程度高。
地块临近崇寿初级中学、文化广场,崇寿镇政府,周边小区住宅也星罗密布,可以算得上是宜居的好地块。被划入宁波前湾新区的慈崇寿I201902#地块,身处前湾新区之中,未来前景可期。






